Skip To Content

223 W 3RD Street

Sanford, FL 32771
  • $800,000
  • STATUS: Closed
  • ON SITE: 444 Days
  • MLS #: O6253787
Sold - 06/10/2025
$800,000
SOLD - 06/10/2025
  • 0
    BEDS
  • 1.2
    ACRES
  • 0
    BATHS
  • 0
    1/2 BATHS
  • 3,760
    SQFT
  • $0
    $/SQFT
Neighborhood:
Type:
Commercial
Built:
1959
County:

School Ratings & Info

Description

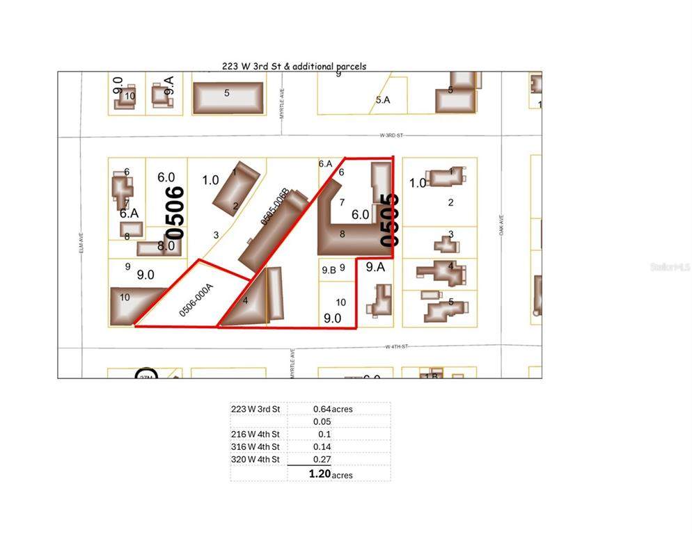
BIG PRICE REDUCTION! Rare large commercial redevelopment site opportunity in red-hot downtown historic Sanford. Approximately 1.2 acres on 5 parcels on main thoroughfare through downtown, site has frontage and access from 3rd & 4th Streets. SC-3 Special Commercial zoning allows many commercial uses and can allow multi-family. Future Land Use is WDBD, Waterfront Downtown Business District, which allows for minimum set-backs, lower parking requirements, and up to 50 units/acre. Includes 3,760 sq ft historic warehouse built around 1910 with almost 2,000 ft covered porch perfect for conversion to a microbrewery. Massive commercial and residential growth in the area. New restaurants & microbreweries are opening up the west end of historic downtown Sanford. Some of the buildings along 3rd St have fire damage. Please see survey and zoning docs.

Monthly Payment Calculator




© 2026 My Florida Regional MLS DBA Stellar MLS. All rights reserved. All listings displayed pursuant to IDX. All listing information is deemed reliable but not guaranteed and should be independently verified through personal inspection by appropriate professionals. Listings displayed on this website may be subject to prior sale or removal from sale; availability of any listing should always be independently verified. Listing information is provided for consumers personal, non-commercial use, solely to identify potential properties for potential purchase; all other use is strictly prohibited and may violate relevant federal and state law. Data last updated 2026-01-19T15:45:14.837.
www.tuscawillarealty.com/homes/157365743
Print Image

223 W 3RD Street Sanford, FL 32771

  • Price: $925,000
  • Status: Closed
  • On Site: 444 Days
  • Updated: 44 min ago
  • MLS #: O6253787
0
Beds
0
Baths
0
½ Baths
1.2
Acres
3,760
SQFT
$0
$/SQFT
1959
Built
Neighborhood:
Sanford Town Of
County:
Seminole
Area:
Sanford/Lake Forest
Property Description
BIG PRICE REDUCTION! Rare large commercial redevelopment site opportunity in red-hot downtown historic Sanford. Approximately 1.2 acres on 5 parcels on main thoroughfare through downtown, site has frontage and access from 3rd & 4th Streets. SC-3 Special Commercial zoning allows many commercial uses and can allow multi-family. Future Land Use is WDBD, Waterfront Downtown Business District, which allows for minimum set-backs, lower parking requirements, and up to 50 units/acre. Includes 3,760 sq ft historic warehouse built around 1910 with almost 2,000 ft covered porch perfect for conversion to a microbrewery. Massive commercial and residential growth in the area. New restaurants & microbreweries are opening up the west end of historic downtown Sanford. Some of the buildings along 3rd St have fire damage. Please see survey and zoning docs.
Exterior Features

Construction Materials BrickMetal SidingWood Siding Foundation Details CrawlspaceSlab Lot Size Dimensions IRR Road Frontage Type City Street Road Surface Type Asphalt Water Access Yn No Water Extras Yn No Water View Yn No Waterfront Feet Total 0 Waterfront Yn No

Interior Features

Building Area Total 3760 Cooling Central Air Cooling YN Yes

Property Features

Flood Zone Code X Listing Terms CashConventional New Construction Yn No Ownership Other Property Sub Type Mixed Use Realtor Info Survey Available Special Listing Conditions None Tax Annual Amount 4203 Total Annual Fees 0 Total Monthly Fees 0 Zoning SC3


Listing information © 2026 My Florida Regional MLS DBA Stellar MLS..
Listing provided courtesy of COLDWELL BANKER REALTY: 407-333-8088.



© 2026 My Florida Regional MLS DBA Stellar MLS. All rights reserved. All listings displayed pursuant to IDX. All listing information is deemed reliable but not guaranteed and should be independently verified through personal inspection by appropriate professionals. Listings displayed on this website may be subject to prior sale or removal from sale; availability of any listing should always be independently verified. Listing information is provided for consumers personal, non-commercial use, solely to identify potential properties for potential purchase; all other use is strictly prohibited and may violate relevant federal and state law. Data last updated 2026-01-19T15:45:14.837.
 
https://bt-photos.global.ssl.fastly.net/mfr/orig_boomver_1_O6253787-2.jpg https://bt-photos.global.ssl.fastly.net/mfr/orig_boomver_1_O6253787-2.jpg https://bt-photos.global.ssl.fastly.net/mfr/orig_boomver_1_O6253787-2.jpg
Logo
Tuscawilla Realty, Inc
2290 W. Airport Blvd.
Sanford FL, 32771